Terreno à venda em leilão
Posse da Cabriuva, s/nº - Interior - Marau / RS
-
Lance mínimo:
-
Data 25/10/23 às 13h4420 R$ 374.000,00
Este imóvel encontra-se ocupado no momento.
Descrição do imóvel
Matrícula do imóvel:
7.296 do 1º CRI - Marau/RS
Visitação
Não há visitação.
Formas de pagamento oferecida(s) pelo comitente vendedor
-
À Vista e sem desconto.
-
Em 5 parcelas mensais - Sinal de 10% e o saldo em 5 parcelas mensais com juros de 1% a.m. + OUTRO.
As formas de pagamento nos leilões são operações oferecidas diretamente do comitente vendedor ao arrematante do leilão. A Zuk não oferece serviços financeiros.
Simule o parcelamento desse imóvel com a Zuk
Documentos
Leia atentamente o Edital do leilão
Ficou com alguma dúvida? Acesse o nosso glossário.
Proximidades

O imóvel ideal em qualquer lugar do Brasil aqui
Parceria com os principais Bancos do Brasil e financiamento em até 420 meses
Leia Mais






















Observações
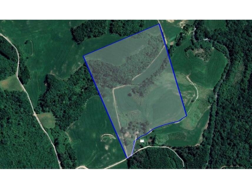
(Coordenada do Centróide: 28°25'03.69 S 52°00'31.37 W). O acesso à propriedade é feito pela Estrada do Moinho, via local que se inicia na Rodovia RS-428 (Estrada Gentil a Quarai), no Km 04.
Ficará a cargo do COMPRADOR:
1) O Imóvel encontra-se ocupado por terceiro, assumindo o Comprador a responsabilidade exclusiva dos riscos, providências e custas necessárias à desocupação, bem como todos e quaisquer débitos pendentes de tarifas públicas, e tarifas privadas, quando houver, sem prejuízo das medidas judiciais, extrajudiciais e eventuais despesas para a desocupação e regularização do imóvel;
2) A escritura será lavrada apenas no Tabelião de Notas de escolha exclusiva do Vendedor, após a quitação integral do imóvel nos casos de parcelamento da compra, sendo que as despesas necessárias com a celebração da lavratura da escritura e seu registro no Cartório de Imóveis competente, o respectivo imposto de transmissão, taxas, custas e emolumentos em cartório, incluindo despesas relativas a certidões e/ou procurações necessárias para a formalização da venda, correrão sob a responsabilidade do Comprador. Ainda, nos casos de imóveis oriundos de leilão de alienação fiduciária, a lavratura da Escritura Definitiva de Venda e Compra ficará condicionada à averbação dos Leilões Negativos e do Termo de Quitação na matrícula do imóvel pelo Ver mais