Terreno à venda em leilão

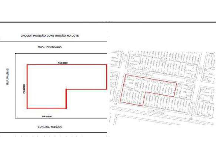
Av. Tupassi, s/nº - lt 9 ao 21 da qd. 58, Loteamento Continental - Jardim Paraná - Assis Chateaubriand / PR

Encerra em 27/09/21 às 14h24
Data de encerramento Em leilão pelo valor de R$ 576.000,00
Este leilão já foi encerrado.
Este lote já foi vendido.
Consulte o edital e documentos do leilão
Banco Bradesco S/A
R$ 1.180.000,00 Maior lance até agora
por
+R$ 20.000,00 Incremento mínimo
Imóvel ocupado

Este imóvel encontra-se ocupado no momento.

Descrição do imóvel

Av. Tupassi, lt 9 ao 21 da qd. 58, Loteamento Continental. Terreno c/ 7.800m². Matrs. 6.420 a 6.432 do 2° RI local.

    Matrículas do imóvel:

    6.420 do 2º CRI - Assis Chateaubriand /PR

    6.421 do 2º CRI - Assis Chateaubriand /PR

    6.422 do 2º CRI - Assis Chateaubriand /PR

    6.423 do 2º CRI - Assis Chateaubriand /PR

    6.424 do 2º CRI - Assis Chateaubriand /PR

    6.425 do 2º CRI - Assis Chateaubriand /PR

    6.426 do 2º CRI - Assis Chateaubriand /PR

    6.427 do 2º CRI - Assis Chateaubriand /PR

    6.428 do 2º CRI - Assis Chateaubriand /PR

    6.429 do 2º CRI - Assis Chateaubriand /PR

    6.430 do 2º CRI - Assis Chateaubriand /PR

    6.431 do 2º CRI - Assis Chateaubriand /PR

    6.432 do 2º CRI - Assis Chateaubriand /PR

Observações

Débitos de IPTU no valor aproximado de R$ 17.000,00, deverão ser apurados e pagos pelo comprador, sem direito a reembolso. Ocupado.

Formas de pagamento oferecida(s) pelo comitente vendedor

  • À Vista com 10% de desconto.

  • 12x

    Em 12 parcelas mensais - Sinal de 25% e o saldo em 12 parcelas mensais sem juros e sem correção.

  • 36x

    Em 36 parcelas mensais - Sinal de 30% e o saldo em 36 parcelas mensais com juros de 12% a.a. (Tabela Price) + IGPM.

  • 48x

    Em 48 parcelas mensais - Sinal de 30% e o saldo em 48 parcelas mensais com juros de 12% a.a. (Tabela Price) + IGPM.

As formas de pagamento nos leilões são operações oferecidas diretamente do comitente vendedor ao arrematante do leilão. A Zuk não oferece serviços financeiros.

Simule o parcelamento desse imóvel com a Zuk

Leia atentamente o Edital do leilão

Ficou com alguma dúvida? Acesse o nosso glossário.

Ver glossário

Proximidades

O imóvel ideal em qualquer lugar do Brasil aqui

O imóvel ideal em qualquer lugar do Brasil aqui

Parceria com os principais Bancos do Brasil e financiamento em até 420 meses

Leia Mais

Veja também

  • 15,35ha terreno
  • 1º leilão R$ 3.018.354,87 27/05/2026 às 14:30
  • 2º leilão R$ 1.085.000,006429/05/2026 às 14:30
  • 69,81m² construída
  • 1º leilão R$ 377.739,54 16/04/2026 às 11:07
  • 2º leilão R$ 188.869,775023/04/2026 às 11:07
  • 97,40m² terreno
  • Valor R$ 197.591,80 30 20/04/2026 às 10:22
Whatsapp